

Investment area № 67-27-13

1.Location:
- - Smolensk, on the crossing if the streets Bolshaya Sovetskaya –Barklaya de Tolli - Dokuchaeva -Kommunisticheskaya;
- - distance from Moscow: 412.
2.Characteristics:
- - area –1,88;
- - land category –lands of settlements, of cultural heritage;
- - type of ownership –municipal, private.
3.Access roads:
- - adjacent four traffic lanes asphalt road. There are no restrictions for trucks, road engineering machines. There are no season and day restrictions;
- - highway Moscow-Minsk is 11 km from the area;
- - railway station is 4,5 km from the area.
4.Engineering communications:
- - gas supply –is enabled;
- - power supply –is enabled;
- - water supply –reconstruction is required;
- - drainage system –reconstruction is required.
5.Terms and conditions:
6.Contact telephone:
(4812) 29-24-25.
Investment area № 67-27-11

1.Location:
- - Smolensk, in the place of the streets Tret’ya liniya Krasnoarmeiskoy Slobody –Churilovsky and Vodyanoy pereulok;
- - distance from Moscow: 412.
2.Characteristics:
- - area –3,46;
- - land category –lands of settlements;
- - type of ownership –municipal, private.
3.Access roads:
- - adjacent four traffic lanes asphalt road. There are no restrictions for trucks, road engineering machines. There are no season and day restrictions;
- - highway Moscow-Minsk is 11 km from the area;
- - railway station is 2 km from the area.
4.Engineering communications:
- - gas supply –is enabled;
- - water supply –is enabled;
- - water supply –reconstruction is required;
- - drainage system –reconstruction is required.
5.Terms and conditions:
6.Contact telephone:
(4812) 29-24-25.
Investment area № 67-27-14

1.Location:
- - Smolensk, in the place of the streets Shevchenko (right side) –Budenny pereulok;
- - distance from Moscow: 420.
2.Characteristics:
- - area –1,5 ha;
- - land category –lands of settlements, of cultural heritage;
- - type of ownership –municipal, private.
3.Access roads:
- - adjacent four traffic lanes asphalt road. There are no restrictions for trucks, road engineering machines. There are no season and day restrictions;
- - railway station is 4,7 km from the area.
4.Engineering communications:
- - gas supply;
- - power supply;
- - water supply –reconstruction is required.
5.Terms and conditions:
6.Contact telephone:
(4812) 29-24-25.
Investment area № 67-27-16

1.Location:
- - Smolensk, on the crossing of the streets Frunze and 12 let Oktyabrya (cafe «U shtyka);
- - distance from Moscow: 420.
2.Characteristics:
- - area –0,64 ha;
- - land category –lands of settlements;
- - type of ownership –municipal.
3.Access roads:
- - adjacent motorway of the streets Frunze and 12 let Oktyabrya;
- - railway station is 2,7 km from the area.
4.Engineering communications:
- - gas supply –is available;
- - power supply –is available;
- - water supply –is available.
5.Terms and conditions:
6.Contact telephone:
(4812) 29-24-25.
Investment area № 67-27-10

1.Location:
- - Smolensk, on the crossing of the streets Rylenkova and prospect Stroiteley (near place of construction of child eco biological center «Smolensky zoopark»);
- - distance from Moscow: 420.
2.Characteristics:
- - area –4,12 ha;
- - land category –lands of trade objects, catering and domestic service;
- - type of ownership –state.
3.Access roads:
- - adjacent motorways of the streets Rylenkova and prospect Stroiteley;
- - railway station is 7,5 km from the area.
4.Engineering communications:
- - gas supply –is available;
- - power supply –is available;
- - water supply –is available.
6. Contact telephone:
(4812) 29-24-25.
Investment area № 67-27-17

1.Location:
- - Smolensk, ul. Frunze, 74;
- - distance from Moscow: 420.
2.Characteristics:
- - area –0,5 ha;
- - land category –lands of settlements;
- - type of ownership –private;
- - two-story building with area 1988 sq.м. is in the area.
3.Access roads:
- - adjacent asphalt motorway;
- - railway station is 2 km from the area.
4.Engineering communications:
- - gas supply –is available;
- - power supply;
- - water supply;
- - drainage system.
5.Terms and conditions:
6.Contact telephone:
(4812) 29-24-25.
Investment area № 67-27-15

1.Location:
- - Smolensk, ul. Zadorozhnaya, 14;
- - distance from Moscow: 420.
2.Characteristics:
- - area –0,7 ha;
- - land category –lands of settlements;
- - type of ownership –private;
- - storage house with area 1757 sq.м. is in the area.
3.Access roads:
- - asphalt motorway is in the area;
- - railway station is 2 km from the area.
4.Engineering communications:
- - gas supply –is available;
- - power supply;
- - water supply –is available.
5.Terms and conditions:
6.Contact telephone:
(4812) 29-24-25.
Investment area № 67-27-12

1.Location:
- - Smolensk, micro district Gnezdovo, DOK;
- - distance from Moscow: 378 km.
2.Characteristics:
- - area –2,5 ha;
- - land category –industrial lands;
- - type of ownership –private;
- - buildings and constructions with total area 4508 sq.м. are in the territory.
3.Access roads:
- - highway «М1»- is 7 km from the area;
- - adjacent asphalt motorway;
- - hard surface motorway (concrete), with length 250 m crosses the territory of the area;
- -railway station is 0,5 km from the area;
- -465 m branch railway crosses the territory of the area.
4.Engineering communications:
- - gas supply –is available;
- - power supply;
- - water supply;
- - drainage system –detritus tanks;
- - heating –own boiler installation;
- - telecommunications –telephone (4 numbers), satellite internet.
5.Terms and conditions:
6.Contact telephone:
(4812) 29-24-25.
Investment area № 67-27-18

1.Location:
- - Smolensk, Krasninskoe shosse;
- - distance from Moscow: 378 km.
2.Characteristics:
- - area – 0,14 ha;
- - land category –lands of settlements;
- - type of ownership –private;
- - house footing is in the area.
3.Access roads:
- - highway «М1»- is 3 km from the area;
- - adjacent asphalt motorway; -railway station is 3 km from the area.
4.Engineering communications:
- - gas supply –is available;
- - power supply;
- - water supply.
5.Terms and conditions:
6.Contact telephone:
(4812) 29-24-25.
Investment area № 67-27-19
1.Location:
- - Smolensk, ul. Karbysheva, 9;
- - distance from Moscow: 378 km.
2.Characteristics:
- - area –0,8 ha;
- - land category –lands of settlements;
- - type of ownership –private;
- - production spaces with area 2869 sq.м and 3398 sq.м. are in the area.
3.Access roads:
- - highway «М1»- is 10 km from the area;
- - adjacent asphalt motorway;
- - railway station is 1 km from the area.
4.Engineering communications:
- - gas supply;
- - power supply;
- - water supply.
5.Terms and conditions:
6.Contact telephone:
(4812) 29-24-25.
Investment area № 67-27-20

1.Location:
- - Smolensk, ul. Smol’yaninova,5;
- - distance from Moscow: 378 km.
2.Characteristics:
- - area –2000 sq.м;
- - production spaces are in the territory of the public corporation «Torgmash»;
- - type of ownership – private.
3.Access roads:
- - highway «М1»is 12 km from the area;
- - adjacent asphalt motorway;
- - railway station is 6 km from the area.
4.Engineering communications:
- - gas supply;
- - power supply;
- - water supply.
5.Terms and conditions:
6.Contact telephone:
(4812) 29-24-25.
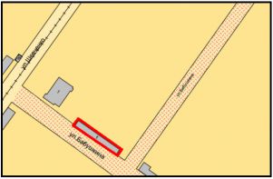
Investment area № 67-27-21

1.Location:
- - Smolensk, ul. Babushkina,1;
- - distance from Moscow: 412 km.
2.Characteristics:
- - area of storage space –4100 sq.m;
- - type of ownership –private.
3.Access roads:
- - highway «М1»is 12 km from the area;
- - adjacent asphalt motorway;
- - railway station is 6 km from the area.
4.Engineering communications:
- - gas supply;
- - power supply;
- - water supply;
- - sewerage;
- - telephone communication, internet.
5.Terms and conditions:
6.Contact telephone:
(4812) 29-24-25.
Investment area № 67-27-22

1.Location:
- - Smolensk, Serebryanka settlement, 84;
- - distance from Moscow: 378 km.
2.Characteristics:
- - area – 0,1 ha;
- - land category –lands of settlements;
- - type of ownership –private.
3.Access roads:
- - highway «М1»is 13 km from the area;
- - adjacent asphalt motorway;
- - railway station is 2 km from the area.
4.Engineering communications:
- - gas supply;
- - power supply;
- - water supply.
5.Terms and conditions:
6.Contact telephone:
(4812) 29-24-25.
Investment area № 67-27-23

1.Location:
- - Smolensk, ul. Lavochkina,104;
- - distance from Moscow: 378 km.
2.Characteristics:
- - area –1,5 ha;
- - type of ownership –private;
- - own boiler room is in the area.
3.Access roads:
- - highway «М1»is 7 km from the area;
- - adjacent asphalt motorway;
- - railway station is 2,5 km from the area;
- - adjacent branch railway.
4.Engineering communications:
- - gas supply;
- - power supply;
- - water supply.
5.Terms and conditions:
6.Contact telephone:
(4812) 29-24-25.
Investment area № 67-27-24

1.Location:
- - Smolensk, ul. Shkadova, 2;
- - distance from Moscow –378 km.
2.Characteristics:
- - area of construction –3458,5 sq. m.;
- - type of ownership –property right of the public corporation «Production Association «Kristall».
3.Access roads:
- - adjacent hard surface motorway;
- - two traffic lanes asphalt motorway is 50 m building (ul.Shkadova, ul. Industrialnaya);
- - own access roads (asphalt-concrete).
4.Engineering communications:
- - gas supply;
- - power supply –360 kilowatt;
- - water supply –water supply point and offtake point;
- - sewerage –2 pipes: d= 50; d =100;
- - heating –air, combined with conditioning;
- - telephone communication –telephone, internet.
5.Terms and conditions:
6.Contact telephone:
(4812) 29-24-25.
Investment area № 67-27-25

1.Location:
- - Smolensk, ul. Shkadova, 2;
- - distance from Moscow –378 km.
2.Characteristics:
- - area of construction –3623,5 sq. m.;
- - type of ownership –property right of the public corporation «Production Association «Kristall».
3.Access roads:
- -adjacent hard surface motorway;
- - two traffic lanes asphalt motorway is 50 m building (ul. Shkadova, ul. Industrialnaya);
- -own access roads (asphalt-concrete).
4.Engineering communications:
- - gas supply;
- - power supply – 50 kilowatt;
- - water supply – 1 pipe L=32 mm
- - sewerage – 1pipe L=150 mm;
- - heating – closed scheme, double line with soil heating;
- - telephone communication –telephone, internet
5.Terms and conditions:
6.Contact telephone:
(4812) 29-24-25.
Investment area № 67-27-26

1.Location:
- - Smolensk, ul. Przhevalskogo (near Drama Theatre);
- - distance from Moscow – 412 km.
2.Characteristics:
- - area –0,32 ha;
- - land category –lands of settlements;
- - type of ownership –state.
3.Access roads:
- - adjacent motorway of the street Przhevalskogo;
- - distance to railway –2,6 km.
4.Engineering communications:
- - power supply - none;
- - gas supply - none;
- - water supply - none;
- - sewerage - none. Near the area.
5.Contact telephone:
(4812) 29-24-25.
Investment area № 67-27-27

1.Location:
- - Smolensk, Krasny Bor settlement;
- - distance from Moscow –412 km.
2.Characteristics:
- - area –0,51 ha;
- - land category –lands for objects of recreational and health use;
- - type of ownership –municipal.
3.Access roads:
- - adjacent motorway Vitebskoe shosse;
- - distance to railway –8,5 km.
4.Engineering communications:
- - power supply - none;
- - gas supply - none;
- - water supply - none;
- - sewerage - none. Near the area.
5.Terms and conditions:
6.Contact telephone:
(4812) 29-24-25.
Investment area № 67-27-28

1.Location:
- - Smolensk, place in the street Moskovskoe shosse;
- -distance from Moscow –412 km.
2.Characteristics:
- - area –1,84 ha;
- - land category –etc.;
- - type of ownership –state property.
3.Access roads:
- - adjacent motorway Moskovskoe shosse;
- - distance to railway –3,3 km.
4.Engineering communications:
- - power supply - none;
- - gas supply - none;
- - water supply - none;
- - sewerage - none. Near the area.
5.Terms and conditions:
6.Contact telephone:
(4812) 29-24-25.
Investment area № 67-27-29

1.Location:
- - Smolensk, ul. Krupskoy, 65-а;
- - distance from Moscow –412 km.
2.Characteristics:
- - area –0,02 ha;
- - storage houses with total area 150 sq.m. is in the area;
- - type of ownership –private.
- 3.Access roads:
- - adjacent motorways of the streets Krupskoy, Rechnoy, Molodezhnoy and 9 Yanvarya;
- - distance to railway –6,1 km.
4.Engineering communications:
- - power supply;
- - gas supply –is available;
- - water supply;
- - sewerage.
5.Terms and conditions:
6.Contact telephone:
(4812) 29-24-25.
Investment area № 67-27-31

1.Location:
- - Smolensk, area in the Smirnov square (addition to the house №2 in Dzerzhinskogo street («Teleport») to the way of Glinka street);
- - distance from Moscow –412 km.
2.Characteristics:
- - area –0,08 ha;
- - land category –lands of settlements, of cultural heritage;
- - type of ownership –state.
3.Access roads:
- - adjacent motorways of the streets Dzerzhinskogo and Glinki;
- - distance to railway –2,8 km.
4.Engineering communications:
- - power supply - none;
- - gas supply - none;
- - water supply - none;
- - sewerage - none. Near the area.
5. Terms and conditions
6. Contact telephone:
(4812) 29-24-25.
Investment area № 67-27-32

1.Location:
- - Smolensk, ul. Kommunisticheskaya, 6-b;
- - distance from Moscow –412 km.
2.Characteristics:
- - area –0,2 ha;
- - land category –lands of settlements, is included into the territory of the monument of federal importance;
- - type of ownership –state.
3.Access roads: